Local Service Overview

Get Ants Extermination Service in Azle, TX

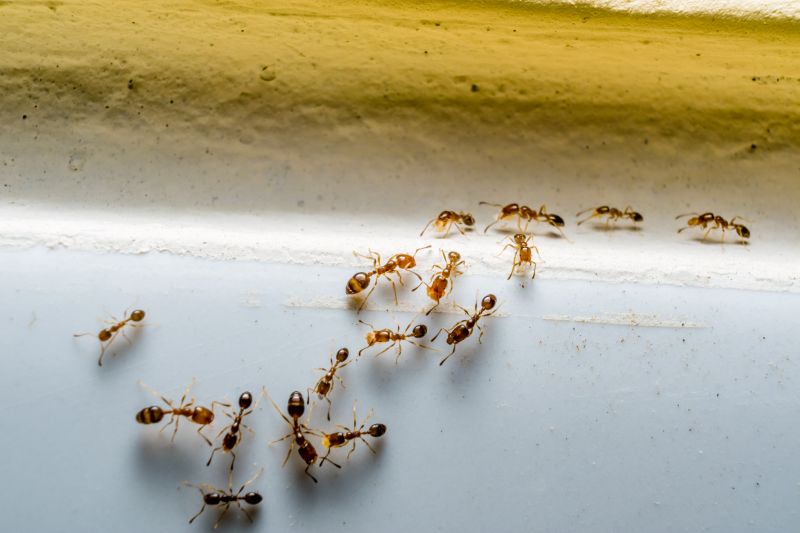
Ants extermination services for property owners in Azle, TX, and nearby areas address ant infestations, prevent future invasions, and handle residential and commercial pest control projects.

Azle, TX

Ants extermination services provide property owners in Azle, TX with effective solutions to manage and eliminate ant infestations. Addressing ant problems promptly can help maintain a comfortable living or working environment by reducing the presence of pests that may invade kitchens, storage areas, or outdoor spaces. Proper extermination not only enhances the overall comfort of a property but also contributes to safety by preventing potential contamination of food and surfaces, as well as reducing the risk of bites or allergic reactions associated with certain ant species.

Engaging professional ant extermination services offers benefits such as improved property functionality and curb appeal. Eliminating ants helps protect structural elements from damage caused by persistent foraging or nesting, which can lead to long-term durability issues. Additionally, a pest-free property requires less ongoing maintenance, supporting a cleaner, more attractive appearance that can boost the overall value and appeal of the property in Azle, TX.

Get Ants Extermination Service Quotes

  • Ants Extermination - needed when ants invade residential or commercial spaces in Azle, TX and surrounding areas.
  • Ants Extermination - required when ant colonies become a persistent nuisance in kitchens, basements, or outdoor areas.
  • Ants Extermination - necessary if ants are found in garden beds, lawns, or near building foundations in nearby communities.
  • Ants Extermination - sought after when ant trails or mounds indicate an active infestation on property.
  • Ants Extermination - essential when ant activity disrupts outdoor activities or causes concerns for health and cleanliness.

Get Ants Extermination Service Quotes

Ants Extermination Service
Ants Extermination Service
Ants Extermination Service

Ants extermination services involve identifying and eliminating ant infestations within residential, commercial, or industrial properties. Service providers typically conduct thorough inspections to determine the extent of the ant problem and locate entry points or nesting areas. Treatments may include targeted baiting, trapping, or the application of specialized insecticides designed to eradicate colonies effectively. These services aim to reduce ant populations and prevent future invasions, helping property owners maintain a clean and pest-free environment.

Ant infestations can cause significant nuisances, including property damage, contamination of food supplies, and general discomfort. Certain ant species, such as carpenter ants, are known to damage wood structures, leading to costly repairs if left untreated. Additionally, ants can be a source of frustration for residents or employees, disrupting daily activities. Professional extermination services help address these issues by removing existing colonies and implementing preventative measures to minimize the likelihood of recurring problems.

Properties that commonly utilize ants extermination services include single-family homes, apartment complexes, restaurants, grocery stores, and office buildings. Homes often seek pest control assistance to protect food storage areas and prevent structural damage. Commercial properties, especially those involved in food handling or preparation, prioritize pest management to comply with health standards and ensure customer safety. In multi-unit buildings, professional services help manage infestations that could spread between units or common areas, maintaining a pest-free environment for all occupants.

Engaging a local pest control provider for ants extermination offers tailored solutions suited to the specific needs of different property types. These professionals utilize proven techniques and products to address ant problems efficiently. Whether dealing with a minor invasion or a large-scale infestation, property owners can benefit from expert assistance to restore comfort and safety. Contacting a local service provider can help identify effective treatment options and develop a plan to keep properties ant-free over time.

The overview below groups typical Ants Extermination Service projects into broad ranges so you can see how smaller, mid-sized, and larger jobs often compare in Azle, TX.

In many markets, a large share of routine jobs stays in the lower and middle ranges, while only a smaller percentage of projects moves into the highest bands when the work is more complex or site conditions are harder than average.

Initial Inspection - The cost for an ant inspection typically ranges from $50 to $150, depending on property size and complexity. This fee covers a thorough assessment to identify ant activity and entry points.

Perimeter Treatment - Applying a perimeter treatment can cost between $100 and $300. The price varies based on the extent of the area and the type of treatment used by local service providers.

Spot Treatments - Spot treatments for active ant colonies generally range from $50 to $200 per session. These are targeted approaches aimed at eliminating specific nests or trails.

Ongoing Maintenance - Ongoing ant control plans may cost between $30 and $70 per month. This includes regular treatments to prevent future infestations and maintain a pest-free environment.

Actual totals will depend on details like access to the work area, the scope of the project, and the materials selected, so use these as general starting points rather than exact figures.

Get an Ants Extermination Service Quote

Ants Extermination - Local pest control providers offer specialized services to eliminate ant infestations in residential and commercial properties in Azle, TX and nearby areas.

Ant Control Treatments - Professionals utilize targeted treatment methods to effectively reduce ant populations and prevent future invasions.

Barrier Ant Prevention - Service providers implement barrier techniques around structures to deter ants from entering indoor spaces.

Eco-Friendly Ant Solutions - Some local pros offer environmentally conscious options for ant extermination that minimize chemical use.

Ant Infestation Inspection - Experts conduct thorough inspections to identify ant colonies and assess the extent of the infestation.

Ant Removal for Businesses - Commercial pest control providers assist local businesses in managing ant problems to maintain a pest-free environment.

Ants Extermination Service

When selecting a professional for ant extermination services, experience is a key factor to consider. Homeowners should look for local service providers with a proven track record in pest control, specifically in managing ant infestations. An experienced pro will have a better understanding of common ant species in the Azle, TX area and the most effective methods for eliminating them. Reviewing the background and history of local contractors can provide insight into their familiarity with the unique challenges posed by the local environment and pest behaviors.

Clear communication and well-defined expectations are essential when working with a pest control provider. Reputable service providers typically outline the scope of work, treatment procedures, and any necessary follow-up steps upfront. Homeowners should seek providers who are transparent about their processes and willing to answer questions, ensuring there are no surprises once the work begins. Establishing open lines of communication helps ensure that the homeowner’s concerns are addressed and that the service aligns with their needs.

Reputable references and local reputation are valuable indicators of a service provider’s reliability. Homeowners can inquire about previous clients or seek recommendations from neighbors to gauge the quality of service offered. Local pros with positive references often demonstrate consistent performance and professionalism. Additionally, a provider’s reputation within the community can be a helpful resource for assessing their expertise and customer service. While the information below introduces options, it is important to verify the credentials and reputation of each local contractor before making a selection.

Get an Ants Extermination Service Quote

Property owners in Azle, TX use Ants Extermination Service services for practical projects around their homes and businesses. The sections below highlight everyday jobs and straightforward project options.

Ants Extermination Service
Ants Extermination Service

Ants extermination services are commonly sought by property owners in Azle, TX, facing persistent ant infestations in homes and businesses. These pests can invade kitchens, pantries, and other areas, causing inconvenience and potential damage to stored goods or structures. Local service providers specialize in identifying ant species, locating entry points, and implementing targeted treatments to eliminate colonies and prevent future invasions.

Property owners might look for ant extermination assistance after noticing increased activity or encountering large numbers of ants indoors or outdoors. Common reasons include the desire to maintain a clean and pest-free environment, prevent structural damage, or protect food supplies. Local professionals can provide effective solutions to manage ant problems and help restore comfort and safety to residential and commercial spaces.

Get an Ants Extermination Service Quote

How do ant extermination services work? Ant extermination services typically involve inspecting the property to identify ant entry points and nests, followed by applying targeted treatments to eliminate the colonies and prevent future infestations.

Are ant treatments safe for pets and children? Most ant extermination methods used by local service providers are designed to be safe for pets and children when applied properly; it is recommended to discuss any concerns with the service provider beforehand.

How long does an ant extermination treatment last? The duration of effectiveness varies depending on the treatment method and extent of the infestation, but many services offer ongoing monitoring or follow-up options.

Can ant extermination services prevent future infestations? Yes, professional services often include recommendations and treatments that help reduce the likelihood of future ant problems by addressing entry points and nest sites.

What should I do before an ant extermination service appointment? Homeowners are typically advised to clean the area, remove food and water sources, and inform the service provider of any specific concerns or areas of activity.

Ants Extermination Solutions - Local service providers offer effective methods to eliminate ant infestations and prevent future occurrences.

Inspection and Identification - Pros can assess properties to identify ant species and determine the most appropriate extermination approach.

Barrier Treatments - Experts utilize targeted treatments around the property perimeter to create a barrier against ants entering the space.

Ongoing Monitoring and Prevention - Service providers can advise on maintenance practices to reduce attractants and keep ants from returning.

Ants Extermination Service

Considering Ants Extermination Service for a property in Azle, TX? The sections above highlight common project types, practical options, and details that often shape the scope of work.

When you are ready, use the quote form to share a few details about your project. Local pros can review the basics and respond with options that match what you have in mind.

Get an Ants Extermination Service Quote

Ants Extermination Quotes

Our Trusted Partners
Cantu Pest Control
Orkin
Hawx Pest Control