Local Service Overview

Get Black Ant Extermination in Carrollton, TX

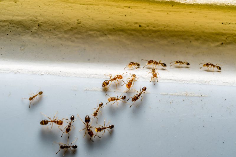
Black Ant Extermination services for property owners in Carrollton, TX, address ant infestations, prevent future invasions, and treat affected areas in residential and commercial buildings.

Carrollton, TX

Black ant extermination services are a practical solution for property owners in Carrollton, TX seeking to maintain a comfortable and safe living environment. These services help prevent ant infestations that can disrupt daily routines, damage structures, or contaminate food supplies. By addressing ant problems promptly, property owners can enjoy a more functional space with reduced concerns about pests, ensuring their homes remain comfortable and secure.

Choosing professional extermination services also offers benefits related to durability and curb appeal. Effective pest control can minimize the need for frequent treatments, resulting in longer-lasting results and less ongoing maintenance. Additionally, a pest-free property enhances visual appeal, contributing to a well-maintained exterior that boosts overall curb appeal and property value.

Get Black Ant Extermination Quotes

  • Black Ant Extermination services are needed when black ants invade kitchens, pantries, or other indoor spaces in residential or commercial properties.
  • Black Ant Extermination may be required when black ant colonies are found outdoors around yards, gardens, or building foundations.
  • Black Ant Extermination is necessary if black ants are seen entering or nesting within wall voids, attics, or crawl spaces.
  • Black Ant Extermination services are sought when black ant populations are difficult to control with DIY methods in areas like Carrollton, TX and neighboring communities.
  • Black Ant Extermination may be needed during seasonal ant activity peaks when black ants become more active around properties.

Get Black Ant Extermination Quotes

Black Ant Extermination
Black Ant Extermination
Black Ant Extermination

Black ant extermination services focus on eliminating and controlling black ant populations within residential, commercial, or industrial properties. These services typically involve thorough inspections to identify ant entry points, nesting sites, and the extent of the infestation. Treatment methods may include targeted application of insecticides, baiting systems, and other pest management techniques designed to reduce or eradicate black ant colonies. The goal is to create an environment that minimizes the likelihood of future invasions by disrupting the ants' nesting and foraging behaviors.

Black ants can pose significant problems for property owners by invading kitchens, pantries, and other areas where food is stored. Their presence can lead to contamination of food supplies and create unsanitary conditions. Additionally, large infestations may cause structural damage over time, especially if the ants establish nests within wall voids or beneath flooring. Black ant extermination services help address these issues by removing the colonies and implementing preventative measures to reduce the chances of recurring infestations.

Various types of properties utilize black ant extermination services, including single-family homes, apartment complexes, restaurants, and warehouses. Residential properties often seek pest control to protect food storage areas and maintain a clean living environment. Commercial properties, particularly those involved in food service or storage, prioritize pest management to comply with health regulations and ensure customer safety. Industrial facilities with large storage areas or manufacturing operations may also require professional extermination to prevent disruptions caused by ant infestations.

Partnering with local pest control providers ensures that property owners receive tailored solutions suited to their specific needs. These professionals conduct assessments to determine the severity of the infestation and recommend appropriate treatment plans. Regular maintenance and monitoring services can help prevent future black ant problems, allowing property owners to maintain a pest-free environment. Connecting with experienced local pros provides access to effective, discreet, and reliable extermination services for properties in Carrollton, TX, and surrounding areas.

The overview below groups typical Black Ant Extermination projects into broad ranges so you can see how smaller, mid-sized, and larger jobs often compare in Carrollton, TX.

In many markets, a large share of routine jobs stays in the lower and middle ranges, while only a smaller percentage of projects moves into the highest bands when the work is more complex or site conditions are harder than average.

Initial Black Ant Extermination - The cost for a single treatment typically ranges from $150 to $300, depending on the extent of the infestation and property size. Some providers may charge higher for larger or heavily infested homes.

Recurring Service Plans - Ongoing treatments usually cost between $50 and $100 per visit, with quarterly plans being common. These plans can help maintain ant control over time and prevent future invasions.

Inspection and Consultation Fees - Some service providers may charge a fee for inspection, typically between $50 and $150, which can sometimes be credited toward treatment costs if services are scheduled. Costs vary based on property size and inspection complexity.

Additional Treatments and Guarantees - Additional or specialized treatments, such as baiting or barrier applications, can range from $200 to $400 per session. Prices vary depending on treatment method and property requirements.

Actual totals will depend on details like access to the work area, the scope of the project, and the materials selected, so use these as general starting points rather than exact figures.

Get a Black Ant Extermination Quote

Black Ant Extermination services focus on eliminating black ants from residential and commercial properties, helping to prevent infestations and property damage.

Local pest control providers offering black ant extermination can assess the severity of an infestation and recommend appropriate treatment options.

Professional exterminators use targeted methods to remove black ants and reduce the likelihood of future invasions in Carrollton, TX and nearby areas.

Black ant control services may include perimeter treatments, baiting systems, and interior inspections to ensure thorough eradication.

Experts in black ant extermination can advise on preventative measures to keep these pests from returning to properties.

Contacting local pest control specialists ensures that black ant problems are addressed with tailored solutions suited to specific property needs.

Black Ant Extermination

When choosing a professional for black ant extermination, it is important to consider their experience with ant control services. Homeowners should inquire about how long a local contractor has been providing pest management in the Carrollton area and their familiarity with treating black ant infestations specifically. Experienced pros often understand the most effective methods and can tailor their approach based on the unique conditions of each property. Additionally, reputable service providers typically have a history of successful treatments, which can be supported by references or testimonials from previous clients.

Clear communication and well-defined expectations are essential when working with a pest control professional. Homeowners should seek out providers who can explain their treatment process, what homeowners can expect during and after the service, and any recommended follow-up actions. Reputable local pros often provide written estimates or service plans that outline the scope of work, ensuring transparency and helping homeowners make informed decisions. Establishing open lines of communication can also facilitate addressing any questions or concerns that may arise throughout the process.

References and reputation play a significant role in selecting a pest control contractor. Homeowners are encouraged to ask for recommendations from neighbors or friends who have previously used black ant extermination services. Online reviews and ratings can also provide insights into a contractor’s reliability, professionalism, and quality of work. It is important to verify that the local pros being considered are known for their trustworthy service and positive customer interactions, which can contribute to a smoother and more satisfactory experience when addressing an ant infestation.

Get a Black Ant Extermination Quote

Property owners in Carrollton, TX use Black Ant Extermination services for practical projects around their homes and businesses. The sections below highlight everyday jobs and straightforward project options.

Black Ant Extermination
Black Ant Extermination

Black ant extermination services are often sought by property owners in Carrollton, TX, dealing with persistent ant infestations. Common situations include noticing increased ant activity around the home or business, especially during warmer months when these pests become more active. Property owners may also seek professional assistance if ant problems begin to affect daily activities, compromise food storage, or cause concerns about potential property damage.

In addition to immediate infestations, some property owners look for ant extermination to prevent future issues. This can be particularly important for those who have experienced recurring ant problems or want to protect their homes and commercial spaces from potential structural damage or hygiene concerns. Local service providers can offer targeted treatments to address these common project needs efficiently.

Get a Black Ant Extermination Quote

Why are black ants attracted to my home? Black ants are drawn to food sources, water, and shelter inside or around homes, especially in warm or humid conditions.

How can I prevent black ants from entering my property? Keeping surfaces clean, sealing entry points, and removing food and water sources can help reduce ant invasions.

When should I consider professional black ant extermination? If ant activity persists despite cleaning and sealing efforts, contacting a local pest control professional is recommended.

Are black ants dangerous to humans or pets? Black ants are generally not harmful, but they can contaminate food and surfaces; some species may bite if disturbed.

What treatment options do exterminators typically use for black ants? Local service providers may use targeted baits, barriers, or insecticides to eliminate black ant colonies effectively.

Black Ant Extermination Solutions - Local service providers can assess infested areas and recommend appropriate treatment options for effective ant control.

Inspection and Identification - Professionals can identify ant nesting sites and determine the extent of the infestation to develop targeted extermination plans.

Treatment Services - Experts utilize various methods, including baiting and chemical treatments, to eliminate black ant colonies safely and efficiently.

Preventive Advice - Service providers can offer tips on reducing attractants and sealing entry points to help prevent future black ant invasions.

Black Ant Extermination

Considering Black Ant Extermination for a property in Carrollton, TX? The sections above highlight common project types, practical options, and details that often shape the scope of work.

When you are ready, use the quote form to share a few details about your project. Local pros can review the basics and respond with options that match what you have in mind.

Get a Black Ant Extermination Quote

Black Ant Extermination Quotes

Our Trusted Partners
Cantu Pest Control
Orkin
Hawx Pest Control
Mosquito Shield