Local Service Overview

Get Ants Extermination Service in Lake Dallas, TX

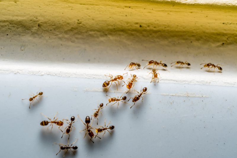
Ants extermination services for property owners in Lake Dallas, TX, and nearby areas address ant infestations, nesting issues, and preventative treatments for residential and commercial properties.

Lake Dallas, TX

Ants extermination services are essential for property owners in Lake Dallas, TX who want to maintain a comfortable and safe living environment. Ant infestations can compromise the functionality of a property by invading kitchens, pantries, and other areas, leading to potential health concerns and damage to stored goods. Professional extermination helps to eliminate these pests effectively, reducing the likelihood of recurring issues and minimizing the need for ongoing maintenance.

Choosing professional ant extermination can also enhance curb appeal by keeping outdoor spaces and entry points free of visible pests. This service supports the durability of a property by preventing structural damage that ants and other pests may cause over time. Overall, effective pest control contributes to a more secure, functional, and attractive property, offering peace of mind for property owners in the Lake Dallas area.

Get Ants Extermination Service Quotes

  • Ants Extermination Services are needed when homeowners notice ant trails or nests around their property in Lake Dallas, TX and nearby areas.
  • These services are essential for preventing ant infestations in commercial buildings and residential homes.
  • Ants Extermination Services are sought after when there is a sudden ant invasion in kitchens, bathrooms, or other indoor spaces.
  • They are also useful for addressing persistent ant problems that have not responded to DIY methods.
  • Professional ant control is recommended for properties with outdoor ant colonies that threaten to invade indoor living areas.

Get Ants Extermination Service Quotes

Ants Extermination Service
Ants Extermination Service
Ants Extermination Service

Ants extermination services involve identifying and eliminating ant infestations within residential, commercial, and industrial properties. Professionals typically conduct thorough inspections to locate ant colonies and determine the species involved. Treatment methods may include the application of targeted baits, insecticides, and barrier treatments designed to eradicate existing colonies and prevent future invasions. The goal is to reduce ant populations effectively while minimizing disruption to the property’s occupants and daily activities.

These services address common problems associated with ant infestations, such as property damage, contamination of food supplies, and general nuisance. Certain ant species, like fire ants or carpenter ants, can cause structural damage or pose health risks through bites or stings. Exterminators focus on eliminating these pests to restore comfort and safety within the affected spaces. Regular inspections and treatments can also help maintain long-term protection against recurring ant problems.

Properties that typically utilize ant extermination services include single-family homes, apartment complexes, restaurants, and retail stores. Homes often seek assistance when ants invade kitchens, bathrooms, or basements, especially during warmer months when ant activity peaks. Commercial properties, particularly food establishments, require ongoing pest management to meet health and safety standards. Additionally, warehouses and storage facilities may also contract ant extermination services to safeguard inventory and maintain hygiene standards.

Professional ant extermination services are tailored to the specific needs of each property type and infestation severity. Local pest control providers use a range of techniques to ensure effective removal and ongoing protection. Contacting a qualified service provider can help property owners and managers address ant issues promptly, preventing potential damage and maintaining a pest-free environment.

The overview below groups typical Ants Extermination Service projects into broad ranges so you can see how smaller, mid-sized, and larger jobs often compare in Lake Dallas, TX.

In many markets, a large share of routine jobs stays in the lower and middle ranges, while only a smaller percentage of projects moves into the highest bands when the work is more complex or site conditions are harder than average.

Initial Inspection - The cost for a professional ant inspection typically ranges from $50 to $150, depending on the property size and location. This fee may cover a thorough assessment to identify ant activity and nesting sites.

Basic Treatment - A standard ant extermination service usually costs between $100 and $300 for a single treatment. Prices vary based on the extent of the infestation and the treatment method used.

Multiple Treatments - For ongoing or severe ant problems, multiple treatments may be needed, with costs generally between $200 and $600. This often includes follow-up visits to ensure complete eradication.

Barrier or Perimeter Service - Applying a barrier treatment around a property can range from $150 to $400. This service helps prevent future ant invasions by creating a protective chemical barrier.

Actual totals will depend on details like access to the work area, the scope of the project, and the materials selected, so use these as general starting points rather than exact figures.

Get an Ants Extermination Service Quote

Ants Extermination services involve professionals who identify and eliminate ant colonies to prevent infestations in residential and commercial properties.

Local ant control experts provide targeted treatments to remove existing ant populations and reduce the likelihood of future invasions.

Professionals may employ a combination of baiting, trapping, and residual insecticides to effectively manage ant problems.

Ants Extermination services are suitable for both indoor and outdoor spaces where ant activity is observed.

Contacting experienced local providers ensures tailored solutions to address specific ant species and infestation levels.

These services are designed to help maintain a pest-free environment by addressing ant issues promptly and efficiently.

Ants Extermination Service

When selecting a professional for ant extermination services, it is important to consider the experience of local contractors. A seasoned provider typically has a history of handling various ant infestations, which can contribute to effective solutions. Homeowners should inquire about the duration of a contractor’s presence in the area and their familiarity with common ant species found in locations such as Lake Dallas, TX. Experienced service providers often have established practices and a deeper understanding of local conditions, which can enhance the likelihood of successful pest management.

Clear communication of service expectations is essential when working with local pros for ant extermination. Reputable providers should be willing to explain their treatment methods, outline what homeowners can expect during and after the service, and address any concerns about safety or property impact. Detailed and transparent information helps ensure that homeowners have a realistic understanding of the process and can make informed decisions. It is advisable to seek out service providers who prioritize open dialogue and provide written descriptions of their recommended treatments.

Reputable references and positive feedback from previous clients can serve as valuable indicators of a contractor’s reliability and quality of work. Homeowners may want to ask potential service providers for references or look for reviews from local residents. Consistent, favorable feedback often reflects a contractor’s professionalism and effectiveness. Additionally, good communication skills-such as responsiveness and clarity-are important qualities that can contribute to a smooth service experience. While the site introduces local options, it is important to remember that it connects users with independent service providers rather than performing the work directly.

Get an Ants Extermination Service Quote

Property owners in Lake Dallas, TX use Ants Extermination Service services for practical projects around their homes and businesses. The sections below highlight everyday jobs and straightforward project options.

Ants Extermination Service
Ants Extermination Service

Ants extermination services are commonly sought by property owners in Lake Dallas, TX when ants become a persistent nuisance around homes or businesses. Common situations include discovering ant trails near kitchens, entry points, or outdoor spaces, which can indicate a growing infestation. Property owners may look for professional assistance to effectively eliminate the ants and prevent future invasions, especially when DIY methods do not provide lasting results.

In addition to visible ant activity, property owners might seek extermination services to address underlying issues such as cracks, gaps, or moisture problems that attract ants. These services can help in managing ant populations caused by seasonal changes or nearby outdoor vegetation, ensuring that residential or commercial properties remain free of these pests and their potential to cause damage or contamination.

Get an Ants Extermination Service Quote

How do ant extermination services work? Ant extermination services typically involve identifying the ant species, locating their nests and entry points, and applying targeted treatments to eliminate the colony and prevent future infestations.

Are ant treatments safe for pets and children? Most ant treatments used by professionals are designed to be safe when applied properly. It is recommended to follow the advice of local service providers regarding safety precautions.

How long does an ant extermination treatment usually last? The duration of effectiveness varies depending on the treatment method and the severity of the infestation. Local pros can provide guidance tailored to specific situations.

Will I need multiple treatments to eliminate ants? Some ant infestations may require more than one treatment, especially if the colony is large or deeply established. Consulting with local experts can determine the best approach.

What are common signs that indicate an ant infestation? Signs include visible ants indoors or outdoors, ant trails, and the presence of mounds or nests near your property. Contacting a local professional can help confirm and address the issue.

Ants Prevention Strategies - Local pest control providers can advise on methods to prevent ant infestations through sanitation and structural adjustments.

Inspection Services - Professionals can assess properties to identify ant entry points and nesting areas for targeted treatment.

Extermination Treatments - Expert technicians utilize various treatment options to eliminate ant colonies and reduce future invasions.

Follow-up and Monitoring - Ongoing services ensure ant activity is controlled and provide early detection of new infestations.

Ants Extermination Service

Considering Ants Extermination Service for a property in Lake Dallas, TX? The sections above highlight common project types, practical options, and details that often shape the scope of work.

When you are ready, use the quote form to share a few details about your project. Local pros can review the basics and respond with options that match what you have in mind.

Get an Ants Extermination Service Quote

Ants Extermination Quotes

Our Trusted Partners
Cantu Pest Control
Orkin
Hawx Pest Control