Local Service Overview

Get Black Ant Extermination in Southlake, TX

Black Ant Extermination services for property owners in Southlake, TX, typically address infestations, prevent future problems, and treat affected areas in residential and commercial properties.

Southlake, TX

Black ant extermination services are a practical solution for property owners in Southlake, TX seeking to maintain a comfortable and safe environment. These services help prevent ant infestations that can disrupt daily activities, damage structures, or contaminate food supplies. By addressing ant problems promptly, property owners can enjoy a more functional living or working space with reduced concerns about pests invading their homes or businesses.

Engaging professional extermination providers also offers benefits such as enhanced durability of property features and improved curb appeal. Proper pest control reduces the likelihood of structural damage caused by ant colonies, leading to lower maintenance needs over time. Additionally, a pest-free exterior contributes to a clean, attractive appearance, supporting overall property value and creating a welcoming atmosphere.

Get Black Ant Extermination Quotes

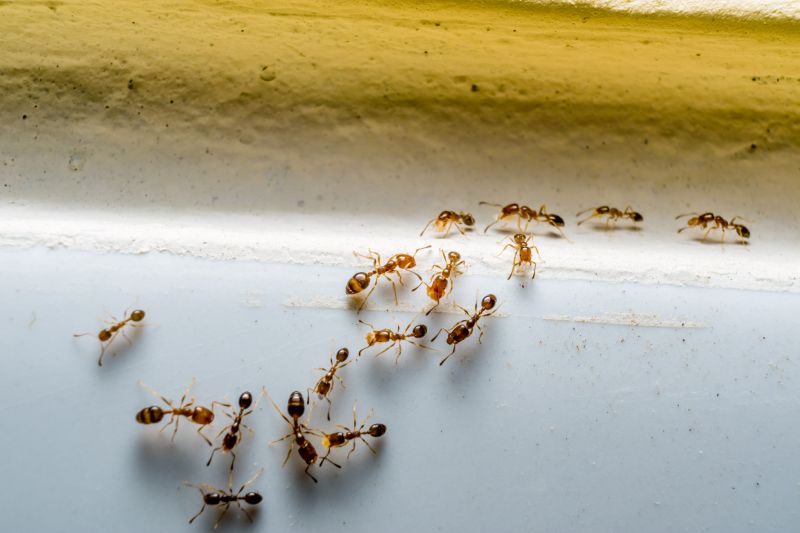
  • Black Ant Extermination - Needed when black ants invade kitchens, pantries, or outdoor areas in residential or commercial properties.
  • Black Ant Extermination - Required if black ants establish persistent colonies around foundations or in wall voids.
  • Black Ant Extermination - Necessary when black ants are seen in multiple rooms or throughout a property in Southlake, TX, and nearby areas.
  • Black Ant Extermination - Suitable for addressing black ant infestations that threaten food storage or cause nuisance in outdoor living spaces.
  • Black Ant Extermination - Contacted when black ants reappear after initial treatment efforts in homes or businesses in the region.

Get Black Ant Extermination Quotes

Black Ant Extermination
Black Ant Extermination
Black Ant Extermination

Black ant extermination services focus on identifying and eliminating black ant colonies that invade residential or commercial properties. These services typically involve thorough inspections to locate nests and entry points, followed by targeted treatments using appropriate insecticides. Service providers may use baiting systems, liquid treatments, or dust applications to effectively reduce ant populations and prevent future infestations. The goal is to address the root of the problem, ensuring that black ants are removed and their activity is halted.

Black ant problems can cause significant nuisance and property concerns. They often invade kitchens, pantries, and other areas where food is stored, leading to contamination and unsanitary conditions. In some cases, black ants can also damage electrical wiring or compromise structural elements by nesting within walls or foundations. Exterminating these pests helps improve hygiene, prevents property damage, and reduces the likelihood of recurring infestations, creating a more comfortable and safer environment.

Various types of properties utilize black ant extermination services. Residential homes, especially those with gardens, lawns, or accessible entry points, frequently seek pest control solutions to manage ant issues. Commercial properties such as restaurants, food storage facilities, and retail spaces also require professional extermination to maintain cleanliness and comply with health standards. Additionally, multi-family dwellings, schools, and public buildings may contract these services to ensure pest-free environments for residents, employees, and visitors.

Professional black ant extermination services are available for a wide range of property types and sizes. Whether dealing with small single-family homes or larger commercial complexes, local pest control providers offer tailored solutions to address specific needs. They utilize proven methods to control ant populations effectively, helping property owners maintain pest-free spaces. Contacting experienced service providers can help determine the most appropriate treatment plan for any property experiencing black ant issues.

The overview below groups typical Black Ant Extermination projects into broad ranges so you can see how smaller, mid-sized, and larger jobs often compare in Southlake, TX.

In many markets, a large share of routine jobs stays in the lower and middle ranges, while only a smaller percentage of projects moves into the highest bands when the work is more complex or site conditions are harder than average.

Initial Inspection - The cost for a black ant extermination inspection typically ranges from $50 to $150. This fee covers a thorough assessment of the infested areas to determine the extent of the problem.

Per-Visit Treatment - Single-treatment services generally cost between $100 and $300. The price depends on the size of the property and the severity of the ant infestation.

Ongoing Treatments - Regular maintenance plans can range from $50 to $200 per visit, with some providers offering monthly or quarterly service options. These plans aim to prevent future ant problems.

Additional Charges - Extra costs may apply for extensive infestations or for treatments requiring specialized methods, typically adding $50 to $150 to the total. Contact local providers for detailed estimates tailored to specific needs.

Actual totals will depend on details like access to the work area, the scope of the project, and the materials selected, so use these as general starting points rather than exact figures.

Get a Black Ant Extermination Quote

Black Ant Extermination services involve professionals who specialize in identifying and eliminating black ant infestations in residential and commercial properties. Local providers use targeted methods to effectively control black ant populations and prevent future invasions.

Black Ant Extermination projects often include inspection, treatment, and ongoing monitoring to ensure complete removal of black ants from affected areas. Local exterminators tailor their approaches to the specific needs of each property.

Black Ant Extermination services are applicable to both indoor and outdoor spaces, addressing ant colonies in kitchens, gardens, and building foundations. Local pros utilize techniques suited for different environments and levels of infestation.

Black Ant Extermination providers may also offer advice on sanitation and structural repairs to reduce attractants and prevent future black ant problems. Contacting local specialists can help develop an effective pest management plan.

Black Ant Extermination is often part of integrated pest management strategies that focus on environmentally responsible and thorough elimination methods. Local service providers customize solutions based on the severity of the infestation.

Black Ant Extermination services are suitable for various property types, including homes, restaurants, and office buildings, requiring expert knowledge to address specific pest control challenges. Local exterminators are available to assist with tailored treatment options.

Black Ant Extermination

When selecting a professional for Black Ant Extermination services, it is important to consider their experience in handling ant infestations. Homeowners should inquire about how long the contractor has been providing pest control solutions in the Southlake, TX area and whether they have extensive experience specifically with black ants. An experienced provider is more likely to understand the behavior of these pests and employ effective treatment methods. Additionally, reviewing any written expectations or service plans can help clarify the scope of work, including the methods used, areas covered, and any follow-up procedures.

Reputable references and reviews can serve as valuable indicators of a contractor’s reliability and quality of service. Pros with a history of positive feedback from local homeowners often demonstrate consistent performance and professionalism. Homeowners are encouraged to ask for references or testimonials from previous clients in the region to gain insight into their experiences. This information can help determine if the contractor has a track record of successfully managing ant problems and maintaining customer satisfaction.

Effective communication is another crucial aspect when choosing a pest control provider. Clear and responsive communication ensures that homeowners understand the treatment process, ask questions, and receive timely updates. Pros who provide detailed written expectations, including service timelines and what to expect during and after treatment, can help set realistic outcomes. While the site introduces local options, it is important to remember that it connects users with independent service providers, not the contractors themselves. Homeowners should contact the pros directly to discuss their specific needs and confirm that communication aligns with their preferences.

Get a Black Ant Extermination Quote

Property owners in Southlake, TX use Black Ant Extermination services for practical projects around their homes and businesses. The sections below highlight everyday jobs and straightforward project options.

Black Ant Extermination
Black Ant Extermination

Black ant extermination services are often sought by property owners in Southlake, TX, who notice persistent ant activity around their homes or businesses. These small pests can invade kitchens, bathrooms, and other indoor spaces, leading to concerns about hygiene and property damage. Local service providers can help identify ant entry points and implement targeted treatments to eliminate colonies and prevent future infestations.

In addition to indoor issues, property owners may seek black ant control for outdoor areas such as lawns, gardens, and patios. Ant colonies can be disruptive to landscaping and may attract other pests. Professional extermination services can assess the extent of the problem and recommend appropriate solutions to maintain a pest-free environment around residential and commercial properties in Southlake.

Get a Black Ant Extermination Quote

Why are black ants attracted to my home? Black ants are drawn to food, water, and shelter sources inside or near homes, seeking sustenance and nesting sites.

How can I prevent black ant infestations? Keeping surfaces clean, storing food properly, sealing entry points, and removing standing water can help reduce the likelihood of black ant problems.

What treatment options do local pest control professionals offer? Service providers may use baits, sprays, or barrier treatments to eliminate black ant colonies and prevent future invasions.

Are black ant infestations harmful to my home? While black ants are mostly a nuisance, they can sometimes cause damage by nesting in wood or contaminating food supplies.

How do I find local black ant extermination services? Contacting local pest control providers can connect homeowners with experienced professionals to address black ant issues effectively.

Black Ant Extermination Methods - Local service providers can implement various strategies to eliminate black ants effectively, including baiting and barrier treatments.

Identifying Black Ant Infestations - Pros can assess property conditions to locate ant nests and determine the best approach for removal.

Preventative Black Ant Control - Experts offer advice and treatments to reduce the likelihood of future ant invasions around homes and businesses.

Black Ant Extermination Costs - Pricing can vary based on the extent of the infestation and the methods used, with local providers offering tailored solutions.

Black Ant Extermination

Considering Black Ant Extermination for a property in Southlake, TX? The sections above highlight common project types, practical options, and details that often shape the scope of work.

When you are ready, use the quote form to share a few details about your project. Local pros can review the basics and respond with options that match what you have in mind.

Get a Black Ant Extermination Quote

Black Ant Extermination Quotes

Our Trusted Partners
Cantu Pest Control
Orkin
Hawx Pest Control
Mosquito Shield