Local Service Overview

Get Ants Extermination Service in Duncanville, TX

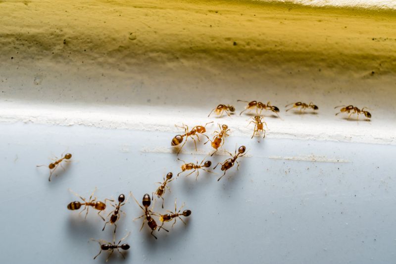
Ants extermination services for Duncanville, TX, and nearby areas address ant infestations, including residential and commercial projects like nest removal and prevention.

Duncanville, TX

Ants extermination services are essential for property owners in Duncanville, TX seeking to maintain a comfortable and safe living environment. Persistent ant infestations can lead to discomfort, disrupt daily activities, and compromise the overall functionality of a home or business. Professional extermination helps eliminate these pests efficiently, reducing the likelihood of future invasions and minimizing the need for ongoing maintenance. This service also contributes to preserving the durability of structures by preventing damage caused by ant colonies, ensuring properties remain in optimal condition.

Choosing expert ant extermination services offers benefits that extend beyond immediate pest removal. Property owners often look for solutions that enhance curb appeal by maintaining a clean and pest-free exterior. Additionally, a professionally managed approach promotes safety by reducing the risk of bites or allergenic reactions, providing peace of mind for residents and visitors alike. Overall, investing in expert extermination helps sustain the functionality and appearance of properties in Duncanville, TX, making them more inviting and secure.

Get Ants Extermination Service Quotes

  • Ants Extermination - needed when ants invade homes or businesses in Duncanville, TX and surrounding areas.
  • Ants Control - required when ant colonies become large and difficult to manage independently.
  • Ants Removal - necessary for eliminating persistent ant infestations in residential or commercial properties.
  • Ants Pest Management - sought after when traditional methods fail to control recurring ant problems.
  • Ants Elimination - essential for restoring comfort and hygiene in properties affected by ant activity.

Get Ants Extermination Service Quotes

Ants Extermination Service
Ants Extermination Service
Ants Extermination Service

Ants extermination services involve the identification and elimination of ant colonies within residential, commercial, or industrial properties. Trained service providers typically conduct thorough inspections to locate nests and assess the extent of an infestation. Treatment methods may include the application of targeted baits, insecticides, or barrier treatments designed to eradicate ants at the source and prevent future invasions. The goal is to manage the problem effectively while minimizing disruption to the property and its occupants.

Ant infestations can cause a variety of issues, including property damage, contamination of food supplies, and general discomfort. Certain ant species, such as carpenter ants, are known to cause structural damage by burrowing into wood, while others, like fire ants, pose health risks through painful stings. Extermination services help address these problems by removing the pests and reducing the likelihood of recurring infestations, contributing to a safer and cleaner environment.

Properties that typically utilize ants extermination services include single-family homes, apartment complexes, restaurants, and retail stores. Homes with accessible entry points or food storage areas are particularly vulnerable to ant invasions. Commercial properties, especially those involved in food service or handling, often require regular pest management to comply with health standards and maintain a pest-free environment. Office buildings and warehouses may also seek extermination services to prevent disruptions caused by ant activity.

Professional ant extermination services are tailored to the specific needs of each property type and infestation severity. Service providers often offer ongoing maintenance plans or one-time treatments, depending on the situation. Contacting local pest control specialists can help property owners and managers develop an effective plan to address ant problems promptly, ensuring a pest-free space for residents, employees, and customers alike.

The overview below groups typical Ants Extermination Service projects into broad ranges so you can see how smaller, mid-sized, and larger jobs often compare in Duncanville, TX.

In many markets, a large share of routine jobs stays in the lower and middle ranges, while only a smaller percentage of projects moves into the highest bands when the work is more complex or site conditions are harder than average.

Initial Inspection - The cost for an ant extermination inspection typically ranges from $50 to $150, depending on property size and complexity. Larger homes or commercial spaces may incur higher fees for thorough assessments.

Basic Treatment - Standard ant extermination treatments usually cost between $100 and $300. This includes application of ant baits and sprays to eliminate visible colonies and prevent future infestations.

Comprehensive Service - For extensive ant problems, comprehensive services may range from $200 to $600. These often involve multiple treatments, barrier applications, and detailed inspections for hidden nests.

Follow-up Visits - Follow-up treatments or inspections generally cost between $50 and $150 each. These visits ensure the effectiveness of initial treatments and address any recurring ant activity.

Actual totals will depend on details like access to the work area, the scope of the project, and the materials selected, so use these as general starting points rather than exact figures.

Get an Ants Extermination Service Quote

Ants Extermination services connect homeowners with local pest control providers who specialize in eliminating ant infestations. These professionals assess the extent of the problem and implement targeted treatment methods to remove ants from residential properties.

Ants Control solutions involve identifying ant species and nesting sites, allowing service providers to develop effective strategies for eradication. Local experts use various techniques to prevent future ant invasions.

Ants Pest Management services focus on integrated approaches to control ant populations while minimizing disruption to the home environment. Professionals may recommend ongoing maintenance to keep ants from returning.

Ants Removal services are provided by local specialists who utilize safe and effective products to eliminate ants and their colonies. They help restore comfort and hygiene to affected living spaces.

Ants Prevention Services aim to identify and address entry points and attractants that draw ants indoors. Service providers offer solutions to reduce the likelihood of future infestations.

Ants Inspection services involve thorough assessments by local pros to determine the source of ant problems and recommend appropriate treatment options. Inspections help inform effective eradication plans.

Ants Extermination Service

When selecting a professional for ant extermination services, experience is a key factor to consider. Homeowners should look for local providers who have a proven track record in handling ant infestations within the community. An experienced contractor is more likely to understand the specific challenges posed by local environments and pests, enabling them to develop effective treatment strategies. It’s beneficial to review the backgrounds of different service providers to gauge their familiarity with ant control and their history of successful projects in areas similar to Duncanville, TX.

Clear communication and well-defined expectations are essential when working with a pest control contractor. Reputable local pros typically provide detailed information about their methods, what homeowners can expect during and after treatment, and any necessary follow-up. This transparency helps ensure there are no surprises and that homeowners are fully informed about the scope of work. When comparing options, it’s helpful to inquire how each provider explains their process and how they handle questions or concerns throughout the service.

Reputable references and positive reputation within the community are strong indicators of a reliable ant extermination service. Local homeowners often share their experiences, which can be valuable when evaluating different providers. It’s advisable to seek out reviews or testimonials from previous clients to understand the quality of service and professionalism. Additionally, establishing open lines of communication with potential contractors can help ensure that questions are answered promptly and that the homeowner feels confident in the provider’s ability to meet their pest control needs.

Get an Ants Extermination Service Quote

Property owners in Duncanville, TX use Ants Extermination Service services for practical projects around their homes and businesses. The sections below highlight everyday jobs and straightforward project options.

Ants Extermination Service
Ants Extermination Service

Ants extermination services are commonly sought by property owners in Duncanville, TX, experiencing persistent ant activity around their homes or businesses. Ants can invade kitchens, pantries, and other areas, creating nuisances and potential health concerns. Local service providers offer solutions to identify the source of the infestation and implement treatments aimed at eliminating the pests and preventing future invasions.

Property owners may also look for ant extermination when noticing ant trails or signs of nests in their yards, gardens, or near foundations. These professionals can assess the extent of the problem and recommend targeted treatments to address both visible colonies and hidden nests. Engaging local experts helps maintain a pest-free environment and reduces the likelihood of recurring ant issues.

Get an Ants Extermination Service Quote

How do ant extermination services work? Ant extermination services typically involve inspecting the property to identify ant entry points and nests, followed by applying targeted treatments to eliminate the colony and prevent future infestations.

Are these services safe for pets and children? Many ant extermination treatments are designed to be safe when applied properly; however, it is recommended to discuss safety concerns with local service providers before treatment.

How long does an ant extermination treatment usually last? The duration of effectiveness varies depending on the treatment method and level of infestation, with some services offering ongoing prevention options.

Can ant extermination be done outdoors and indoors? Yes, professional ant extermination services can address infestations both inside the home and in outdoor areas such as yards and gardens.

How can I prevent future ant problems? Local pest control providers can offer advice on sanitation, sealing entry points, and ongoing treatments to help prevent future ant issues.

Ants Extermination Solutions - Local service providers offer targeted treatments to eliminate ant infestations and prevent future activity.

Inspection and Identification - Pros can assess property conditions to identify ant entry points and nesting areas for effective removal strategies.

Customized Treatment Plans - Service providers develop tailored approaches to address specific ant species and infestation levels.

Ongoing Monitoring and Prevention - Experts can advise on preventative measures to maintain an ant-free environment over time.

Ants Extermination Service

Considering Ants Extermination Service for a property in Duncanville, TX? The sections above highlight common project types, practical options, and details that often shape the scope of work.

When you are ready, use the quote form to share a few details about your project. Local pros can review the basics and respond with options that match what you have in mind.

Get an Ants Extermination Service Quote

Ants Extermination Quotes

Our Trusted Partners
Cantu Pest Control
Orkin
Hawx Pest Control