Local Service Overview

Get Ants Extermination Service in Rhome, TX

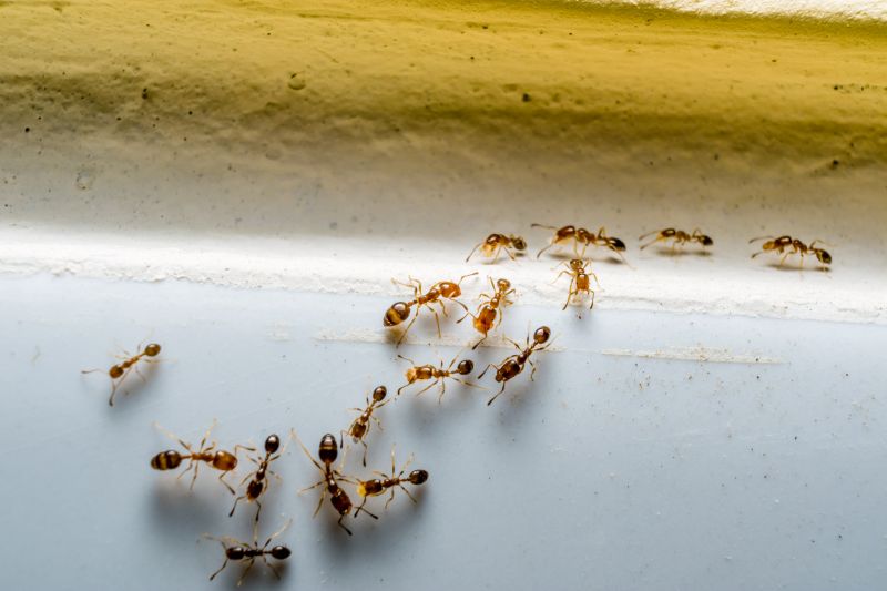
Ants extermination services for Rhome, TX, property owners address ant infestations, prevent future outbreaks, and handle residential or commercial pest control projects.

Rhome, TX

Ants extermination services are essential for property owners in Rhome, TX seeking to maintain a comfortable and safe environment. Infestations can compromise the functionality of a home or business by damaging structures, contaminating food, and creating unsanitary conditions. Professional extermination helps eliminate ant colonies efficiently, reducing the risk of recurring issues and minimizing disruptions to daily life. This proactive approach supports long-term durability of the property and enhances curb appeal by keeping outdoor and indoor spaces clean and pest-free.

Choosing expert ant extermination services also offers benefits such as decreased maintenance needs and improved safety. Proper treatment methods can prevent future infestations, saving property owners time and effort on ongoing pest control efforts. Additionally, a pest-free environment contributes to peace of mind, allowing residents and visitors to enjoy the space without concern about ant-related problems. Contacting local service providers ensures tailored solutions that address specific needs, promoting a healthier, more attractive property in Rhome, TX.

Get Ants Extermination Service Quotes

  • Ants Extermination - needed when ants invade homes or businesses in Rhome, TX and surrounding areas.
  • Ants Extermination - required if ants are found nesting in lawns, gardens, or outdoor structures nearby.
  • Ants Extermination - necessary when ants become a persistent indoor pest, disrupting daily activities.
  • Ants Extermination - sought after in commercial properties experiencing ant infestations affecting operations.
  • Ants Extermination - essential when ant trails or mounds are visible around residential or commercial properties.

Get Ants Extermination Service Quotes

Ants Extermination Service
Ants Extermination Service
Ants Extermination Service

Ants extermination services involve identifying and eliminating ant infestations within residential or commercial properties. Professionals typically conduct a thorough inspection to locate ant colonies and determine the species involved. Treatment methods may include the application of targeted insecticides, baiting systems, or barrier treatments designed to eradicate ants at their source. The goal is to reduce or eliminate ant populations, preventing further intrusion and damage.

These services help address common problems caused by ant infestations, such as nuisance issues, contamination of food supplies, and potential structural damage. Certain species, like carpenter ants, can compromise the integrity of wooden structures, while others, such as fire ants, pose stinging hazards. Effective extermination not only removes visible ants but also targets hidden colonies to prevent recurring problems.

Ants extermination services are often utilized in a variety of property types, including single-family homes, apartment complexes, restaurants, and retail establishments. Residential properties with kitchens or food storage areas are particularly vulnerable to ant invasions, making regular inspections and treatments essential. Commercial properties, especially those involved in food service or retail, seek professional assistance to maintain sanitation and prevent pest-related setbacks.

Engaging with local pest control providers for ant extermination offers a tailored approach to managing infestations. These professionals employ proven techniques and products suited to the specific needs of each property. Contacting a local expert can help property owners and managers develop an effective plan to control and prevent future ant problems, ensuring a cleaner and more comfortable environment.

The overview below groups typical Ants Extermination Service projects into broad ranges so you can see how smaller, mid-sized, and larger jobs often compare in Rhome, TX.

In many markets, a large share of routine jobs stays in the lower and middle ranges, while only a smaller percentage of projects moves into the highest bands when the work is more complex or site conditions are harder than average.

Initial Inspection - The cost for an ant inspection typically ranges from $50 to $150, depending on the size of the property and the extent of the infestation. Some providers may include a basic assessment as part of their service package. Prices can vary based on local market conditions.

Per-Visit Treatment - Treatment services usually cost between $100 and $300 per visit, with larger properties or severe infestations tending toward the higher end. This fee often covers the application of ant baits, powders, or sprays to targeted areas. Additional visits may incur extra charges.

Full-Service Extermination - Complete ant extermination packages generally range from $200 to $600, which may include multiple treatments and follow-up inspections. These services aim to eliminate the colony and prevent future invasions. Cost varies based on property size and infestation severity.

Preventive Solutions - Preventive treatments or barrier applications typically cost between $75 and $200, depending on the scope of the property and the type of treatment used. These services focus on stopping ant entry points before an infestation occurs. Prices are subject to local service provider rates.

Actual totals will depend on details like access to the work area, the scope of the project, and the materials selected, so use these as general starting points rather than exact figures.

Get an Ants Extermination Service Quote

Ants Extermination - Local pest control providers offer targeted treatments to eliminate ant colonies and prevent future infestations in residential and commercial properties.

Ants Removal - Service professionals utilize effective methods to remove ants from indoor and outdoor spaces, ensuring a pest-free environment.

Ants Control - Experts implement integrated pest management strategies to control ant populations and reduce the risk of recurring issues.

Ants Barrier Treatment - Local providers apply barrier treatments around structures to create a protective zone against ant entry points.

Ants Inspection - Professionals conduct thorough inspections to identify ant activity sources and recommend appropriate treatment plans.

Ants Prevention - Service providers advise on and implement measures to prevent ant infestations in homes and businesses in Rhome, TX, and nearby areas.

Ants Extermination Service

When selecting a professional for ant extermination services, it’s important to consider the experience and background of local contractors. Many providers have established histories of handling ant infestations in areas like Rhome, TX, which can be an indicator of their familiarity with common pest issues and effective treatment methods. Reviewing the professional’s years of service and areas of specialization can help homeowners gauge their expertise and confidence in managing ant problems efficiently.

Clear communication and well-defined expectations are essential when working with pest control providers. Reputable local pros typically outline the scope of work, treatment approaches, and any necessary follow-up procedures to ensure homeowners understand what to expect. This transparency can help prevent misunderstandings and provide clarity about the process, making it easier to plan and coordinate the service.

References and reputation are valuable factors when comparing local ant extermination providers. Homeowners are encouraged to seek out reputable references or reviews from previous clients to assess the quality of service and reliability of the contractor. While the site introduces local options, it is important to evaluate each professional’s reputation independently, focusing on their communication, professionalism, and feedback from past customers to make an informed decision.

Get an Ants Extermination Service Quote

Property owners in Rhome, TX use Ants Extermination Service services for practical projects around their homes and businesses. The sections below highlight everyday jobs and straightforward project options.

Ants Extermination Service
Ants Extermination Service

Ants extermination services are often sought by property owners in Rhome, TX, facing persistent ant infestations in residential or commercial spaces. Common situations include discovering large ant colonies inside kitchens, basements, or around the foundation, which can cause inconvenience and potential property damage. Local service providers can assist with identifying the source of the problem and implementing effective treatment methods to eliminate ants and prevent future invasions.

Property owners may also seek ant extermination when noticing increased ant activity during warmer months or after recent landscaping efforts. In addition to nuisance concerns, some individuals want to avoid the risks associated with ant bites or the contamination of food and surfaces. Connecting with local ant extermination specialists can help address these issues efficiently and restore comfort to living or working environments.

Get an Ants Extermination Service Quote

How do ant extermination services work? Ant extermination services typically involve inspecting affected areas, identifying ant species, and applying targeted treatments to eliminate colonies and prevent future infestations.

Are the treatments safe for children and pets? Many local pros use treatments that are safe when used as directed; it’s best to discuss safety concerns with the service provider before scheduling.

How long does an ant extermination treatment take? Treatment duration varies depending on the extent of the infestation, but most services are completed within a few hours.

Will I need multiple treatments to eliminate ants? Some ant species may require more than one treatment to fully eradicate the colony and ensure long-term control.

How can I prevent future ant problems? Local pros often recommend ongoing maintenance, sealing entry points, and removing attractants to help prevent future ant issues.

Ants Extermination Solutions - Local service providers offer targeted ant removal treatments to address infestations effectively.

Inspection and Identification - Pros can assess property conditions to identify ant entry points and nesting areas for precise treatment.

Preventive Strategies - Experts recommend ongoing measures to reduce the likelihood of future ant invasions around residential and commercial properties.

Customized Treatment Plans - Service providers develop tailored approaches based on the specific ant species and severity of the infestation.

Ants Extermination Service

Considering Ants Extermination Service for a property in Rhome, TX? The sections above highlight common project types, practical options, and details that often shape the scope of work.

When you are ready, use the quote form to share a few details about your project. Local pros can review the basics and respond with options that match what you have in mind.

Get an Ants Extermination Service Quote

Ants Extermination Quotes

Our Trusted Partners
Cantu Pest Control
Orkin
Hawx Pest Control
Mosquito Shield